
Home » Scuba Diving Destinations » Scuba Diving in Hurghada, Egypt
After falling in love with scuba diving during my first ever dives in Bali earlier that year, it didn’t take much convincing to book another trip. This time we headed to Egypt’s Red Sea, where I’d snorkelled years before and always wanted to come back to dive properly.
Hurghada is one of Egypt’s best-known dive destinations, and for good reason. Once a sleepy fishing village, it has grown into a bustling resort town and a hub for Red Sea diving. Whether you’re just starting out or already an experienced diver, Hurghada offers something for everyone — from shallow, colourful reefs full of life to thrilling wrecks and even the chance of spotting sharks on more advanced trips.
The Red Sea here is calm and clear year-round, making it a great choice for both day diving and liveaboard adventures. You can stick to the daily boats and explore sites close to town, or join a liveaboard heading north for iconic wrecks like the Thistlegorm or south for big pelagics and pristine coral at the Brothers Islands.
For us, we always stay a little south of the main town in Makadi Bay, where the pace is a bit more relaxed and the resorts are excellent… yet still close enough to reach all the dive boats and sites easily.
We flew direct to Hurghada from Manchester Airport with EasyJet. As usual, we survived the legendary security queues and naturally hit the Escape Lounge for breakfast and a pre-flight pint… because once you’re through security, it’s always beer o’clock.
The flight was straightforward and takes just over five hours. If you haven’t been to Egypt before, a top tip is to sort your visa online before you go (through the official Egypt eVisa website). It’s quicker, cheaper, and saves queuing at the airport when you arrive.
On arrival at Hurghada airport, you’ll find it’s small but efficient enough. You can expect the usual wait for luggage and passport checks, and if you’ve pre-booked a transfer through your resort or package deal, someone will usually be waiting just outside the exit with a board. If not, there are plenty of taxis available, but agree the price before you get in.
From the airport, it’s about a 30-40 minute drive south to Makadi Bay, where we always stay. The resorts here are a little away from the bustle of Hurghada itself, making them perfect for relaxing after a day’s diving, but still close enough to the marina where most dive boats depart.
Over the years, we’ve stayed at two different all-inclusive resorts in Makadi Bay… Labranda Royal Makadi and Stella Gardens Resort & Spa. Both were pretty similar in what they offered. You get the usual buffet setup for breakfast, lunch and dinner, plus a handful of speciality restaurants that you can book into. You’ll usually get a few vouchers for these on arrival, but you’ll have to pay extra if you want to dine there more than the allocated number of times. To be honest though, the buffet was absolutely fine for us.
We didn’t hang around the resort much anyway… we were there to dive and snorkel, and the snorkelling in Makadi Bay itself is excellent.
Both resorts are all-inclusive, and if you enjoy a beer by the pool, here’s a handy tip: they serve drinks in very small glasses, which can get a bit annoying. The best thing to do is bring your own (non-glass if at the pool) drinking vessel, ideally one that keeps your drink cool. The bar staff are happy to fill it for you, and it saves you endless trips back and forth.
Makadi Bay is a great base if you want somewhere a bit quieter than Hurghada itself, but still close enough to the marina and dive boats.

While in Hurghada, we dived with Hurghada Diving Center, and they made everything easy, safe, and enjoyable.
They offer daily diving trips that include hotel transfers, two dives at different sites, lunch onboard, and unlimited soft and hot drinks. Whether you’re a beginner, fun diver, or doing courses, they have options for everyone… and even offer private boat trips if you want something more exclusive.
The team is a mix of Egyptian and European instructors: professional, friendly, and always ready to help. Equipment is well-maintained and safety-focused, with plenty of tanks, wetsuits, and regulators available.
Their boat is big (30m x 7m), comfortable, and well set up with a lounge, kitchen, sun deck, and two showers… making every dive trip feel relaxed and easy.
At the dock in Hurghada, we boarded a comfortable boat with great facilities… gear was fitted, and I met my instructor Ahmed for two days of one-to-one training. I had already completed the theory online through PADI, so it was straight into the practical side, tackling five adventure dives to earn my Advanced Open Water certification.
Our first dive took us to the wreck of El Minya, an Egyptian minesweeper sunk in 1969. Sitting at 30 metres deep with strong currents, it was eerie but fascinating. It was my first dive to that depth… slightly nerve-wracking, but Ahmed kept me calm and focused.
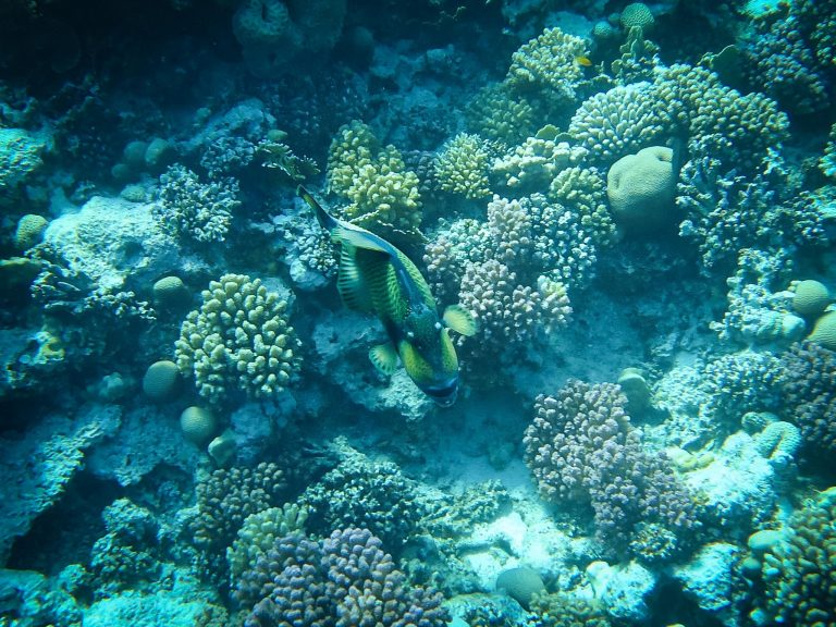
Next up was navigation skills at Gota Abu Galawa… a beautiful coral garden bustling with marine life. Underwater navigation was harder than it sounded… breathing, finning, and thinking at the same time was a juggling act… but we got there!
The following dive was a drift dive. Floating along with the current at Sachwa Abu Galawa was effortless and a completely different experience to anything I’d done before. It taught me how important it is to stay relaxed and move with the flow rather than fight against it… a really valuable lesson at that stage in my diving.
My deep dive took me to 40 metres along the dramatic wall at Al Fanadir… a surreal experience where breathing feels heavier and air disappears faster. Another milestone completed!
The final required dive was focused on perfecting buoyancy… crucial for air conservation, reef protection, and smooth diving. After that, I was officially an Advanced Open Water Diver… an incredible feeling!
To celebrate, I joined a fun dive at Shaab Sabina… a coral labyrinth full of pufferfish, turtles, and vibrant hard corals.
The next day, we squeezed in three more dives, where Ahmed switched me to a 15L tank to better match my buddy’s air consumption… a game-changer for longer dives.
We returned to Hurghada in July 2024 and dived again with Hurghada Diving. The summer months meant warmer water and slightly busier boats, but the dive sites were still fantastic. Torfa El Fanadir was a standout, packed with colourful marine life and great visibility.
Makadi Bay, where we always stay, is also a great choice if you’re planning to head further south to Marsa Alam, as it’s already a little closer than central Hurghada. Marsa Alam is famous for hammerhead shark encounters and the rare chance to dive with dugong… well worth adding to your Red Sea itinerary if you want even more adventure.
Take a look below at some of the amazing moments we captured during our dives around Hurghada… from colourful reefs to unforgettable Red Sea adventures.



















